
| Magistrát města Jihlavy
Zastupitelstvo města Jihlavy 23. zasedání dne 15.12.2021 | 34/23 |
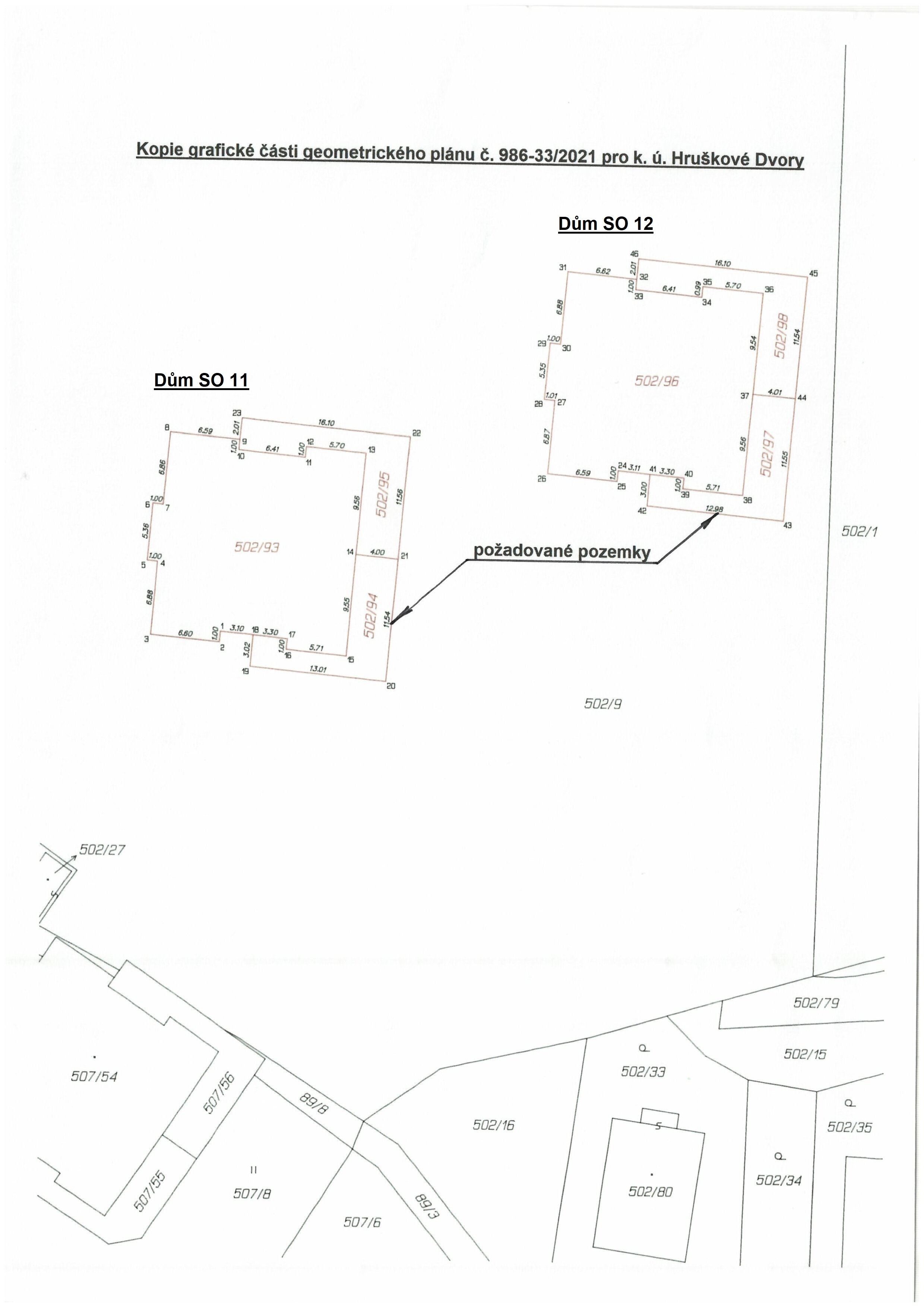
prodej částí pozemku v k. ú. Hruškové Dvory p. č. 502/9 dle geometrického plánu č. 986-33/2021 ze dne 14.09.2021 pro k. ú. Hruškové Dvory označené jako nově utvořené pozemky p. č. 502/93, p. č. 502/94, p. č. 502/95, p. č. 502/96, p. č. 502/97 a p. č. 502/98, společnosti CZ STAVEBNÍ HOLDING, a.s., se sídlem Praha - Čakovice, Kostelecká 879/59, PSČ 196 00, IČO 259 17 773, s předkupním právem ve prospěch statutárního města Jihlavy za kupní cenu ve výši 1.483.500 Kč bez DPH dle důvodové zprávy a za podmínek:
- Smlouvy o smlouvě budoucí kupní č. 15/MO/09 ze dne 20.01.2009, ve znění jejich dodatků č. 1, č. 2 a č. 3,
- sjednání práva statutárního města Jihlava na odstoupení od kupní smlouvy v případě neuhrazení kupní ceny ve sjednaném termínu,
- sjednání závazku smluvních stran smlouvy, pro případ kdy před podáním návrhu na vklad do katastru nemovitostí bude zjištěno, že uzavřená smlouva není způsobilá pro vklad práv do katastru nemovitostí, nebo pro případ zamítnutí návrhu na vklad práv dle této smlouvy, nebo zastavení řízení o vkladu těchto práv do katastru nemovitostí a zpětvzetí návrhu na vklad, se účastníci smlouvy zaváží uzavřít dodatek k uzavřené smlouvě, nebo smlouvu shodného věcného obsahu ve znění způsobilém pro vklad práv do katastru nemovitostí, a to v termínu dle aktuální potřeby, nejpozději však do 6 měsíců ode dne, kdy bude tato skutečnost zjištěna,
- úhrady veškerých nákladů souvisejících s podáním návrhu na vklad vlastnického práva do katastru nemovitostí kupující.
| Provede: MO - pozemkové oddělení | Termín: 15.6.2022 |
| Jméno, odbor/funkce | Podpis | |
|---|---|---|
| Předkladatel | Ing. arch. Martin Laštovička | |
| Zpracovatel | Ing. Irini Mátlová |
| Jméno, odbor/funkce | Stanovisko | |
|---|---|---|
| Právní posouzení | Bc. Věra Pavlíková, vedoucí oddělení MO |
ANO |
| Finanční kontrola | Ing. Petr Štěpán, vedoucí MO | ANO |
| Stanoviska dotčených odborů | ||
| Stanoviska dotčených komisí rady města a výborů zastupitelstva města | Majetková komise Rady města Jihlavy |
ANO |
| Tajemník | Mgr. Ing. Evžen Zámek |
Příloha č.1: 21-11004-p20038 - Kopie gratické části geometrického plánu.jpg
Příloha č.2: 21-11004-p20039 - Koordinační situační výkres.jpg
Příloha č.3: 21-11004-p20040 - celkový snimek katastrální mapy.jpg
| Důvodová zpráva | |
Společnost CZ STAVEBNÍ HOLDING, a.s., se sídlem Praha - Čakovice, Kostelecká 879/59, IČO 259 17 773 (dále jen Společnost) na základě Smlouvy o smlouvě budoucí kupní č. 15/MO/09 ze dne 20.01.2009 (dále jen Smlouva), ve znění jejich dodatků č. 1, 2 a 3, uzavřené mezi statutárním městem Jihlava a Společností, zainvestovala na své náklady infrastrukturu pro nové území k bydlení v Hruškových Dvorech. Vybudovanou infrastrukturu postupně v souladu s podmínkami sjednanými ve Smlouvě převedla na město. Nyní postupně realizuje část bytové výstavby, pro kterou uvedenou infrastrukturu vybudovala. Pozemky jsou převáděny za kupní cenu ve výši 1.500 Kč + DPH, stanovenou znaleckým posudkem, vypracovaným znalcem Ing. Josefem Vencovským, Revoluční 641, Luka nad Jihlavou (dále jen znalecký posudek).Ve Smlouvě je prohlášení smluvních stran, že součástí kupní smlouvy bude ujednání o zřízení předkupního práva k převáděným pozemkům do doby vydání kolaudačního souhlasu, či jiného dokladu, který umožní užívání stavby bytového domu.
Popis problému:
28.02.2017 - uzavřen dodatek č. 3 ke Smlouvě (vzhledem k obsáhlosti Smlouvy, ve znění jejich dodatků, není přílohou tohoto návrhu a je k dispozici u zpracovatelky návrhu). V předmětném dodatku č. 3 bylo mimo jiné ujednáno: Budoucí prodávající (město) a budoucí kupující (Společnost) se zavazují k žádosti budoucího kupujícího uzavřít kupní smlouvu nebo postupně uzavírat kupní smlouvy, jejímž (jejichž) předmětem budou části Pozemků, a to části Pozemků dotčených budoucí stavbou bytových domů (dále jen Kupní smlouva). Části Pozemků, jež budou předmětem Kupní smlouvy, resp. jednotlivých Kupních smluv, budou zaměřeny a na oddělení pozemků bude vyhotoven příslušný geometrický plán (popřípadě geometrické plány) v souladu s platnými právními předpisy. Geometrický plán (plány) vyhotoví na své náklady budoucí kupující. Příslušný geometrický plán bude přílohou Žádosti a Kupní smlouvy (smluv). Kupní cena pozemků, které budou převedeny, byla sjednána smluvními stranami pro rok 2017 a 2018 dohodou ve výši 1.100 Kč/m2 (plus DPH v zákonem stanovené výši ke dni zdanitelného plnění). Pro rok 2019 a 2020 a následně pro rok 2021 a 2022 bude kupní cena upravena na základě tržního znaleckého posudku, který zajistí budoucí prodávající na náklady budoucího kupujícího do 31.01.2019 a do 31.01.2021. Ke kupní ceně zjištěné tržním znaleckým posudkem bude připočteno DPH v zákonem stanovené výši ke zdi zdanitelného plnění.
Společnost v souladu s výše uvedenými sjednanými podmínkami požádala dne 06.09.2021 o koupi částí pozemku v k. ú. Hruškové Dvory p. č. 502/9, pro výstavbu bytových domů SO 11 a SO 12 dle geometrického plánu č. 986-33/2021 ze dne 14.09.2021 pro k. ú. Hruškové Dvory označené jako nově utvořené pozemky: - p. č. 502/93 o výměře 350 m2, - p. č. 502/94 o výměře 68 m2, - p. č. 502/95 o výměře 77 m2, - p. č. 502/96 o výměře 350 m2, - p. č. 502/97 o výměře 67 m2 - p. č. 502/98 o výměře 77 m2.
Dle znaleckého posudku ze dne 18.09.2021 byla obvyklá cena částí pozemků v k. ú. Hruškové Dvory o celkové výměře 989 m2 ZE DNE 18.09.2021 stanovena ve výši 1.500 Kč/m2, tzn.: 1.483.500 Kč + 21% DPH, tj. celkem ve výši 1.795.035 Kč.
Záměr prodat části pozemku v k. ú. Hruškové Dvory p. č. 502/9 dle tohoto návrhu byl zveřejněn dle zákona o obcích č. 128/2000 Sb., v platném znění, na úřední desce, a to včetně úřední desky elektronické, ode dne 16.11.2020 pod č. j. MMJ/MO/204480/2021, UID: jihlvp21v029jx.
Návrh řešení: Uzavřít kupní smlouvu se Společností dle návrhu na usnesení.
Stanoviska dotčených odborů: Stanoviska dotčených odborů vzhledem k uzavřené Smlouvě, ve znění jejich dodatků, nebyla požadována.
Stanoviska komise RM / výboru ZM: 12.10.2021 - Majetková komise Rady města Jihlavy na svém 61. jednání projednala žádost Společnosti a doporučila v poměru hlasů 9:0:0 (pro:proti:zdržel se) prodej předmětných pozemků v k. ú. Hruškové Dvory za celkovou cenu 1.795.035 Kč včetně DPH. 21.10.2021 - Rada města Jihlavy na své 80. schůzi projednala zápis z jednání Majetkové komise Rady města Jihlavy ze dne 12.10.2021 bez výhrad a současně tímto usnesením schválila zveřejnění záměru prodat předmětné pozemky.
Výsledek předběžné finanční kontroly: Kontrola provedena v souladu s příslušnými vnitřními předpisy.
Právní posouzení: Návrh je vyhotoven v souladu §§ 2079 a násl. zákona č. 89/2012 Sb., občanský zákoník, ve znění pozdějších předpisů, které upravují kupní smlouvu a v souladu s §§ 1785 a násl. občanského zákoníku, které upravují budoucí smlouvu. Návrhem je plněno dle závazků z uzavřené budoucí kupní smlouvy ve znění jejich dodatků. Ke schválení je předkládán Zastupitelstvu města Jihlavy v rámci pravomoci zastupitelstva obce § 85 písm. a) zákona 128/2000Sb., o obcích (obecní zřízení), ve znění pozdějších předpisů, po předcházejícím zveřejnění záměru dle § 39 zákona o obcích. |